Florida

Check Out This Simple Tiny House Built For Only $1,500

One environmental activist proved that you can build yourself a home for a really cheap price. Under $1,500 to be…

7 years ago

Jimmy Buffett Is Opening A 300-Acre Margaritaville Resort In Orlando, Florida

While there might be a Margaritaville restaurant located in Orlando, FL in Universal Studios, fans of the fictional tropical destination…

7 years ago

Drunk, Naked Florida Man Burns House Down After Trying To Bake Cookies On A Grill

This one's a doozy, folks. A naked, intoxicated Florida man recently burnt down his home trying to bake cookies on…

8 years ago

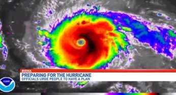
Be Prepared And Protected: Irma Reaches Highest Category Hurricane Level

UPDATE: Florida braces for impact. Hurricane Irma intensifies into a full-blown “super storm” with 185+ mph winds and is growing…

9 years ago